住宅用土地 長野県伊那市西春近小出三区3742-3
- 価格350万円
- 坪単価2.96万円
- 土地面積391m2
- 建蔽/容積60%/200%
- 通学区伊那市立西春近北小学校(1500m)
伊那市立春富中学校(2200m)
最終更新日 2026年05月01日
・上水道と下水道の本管が北側の公道にあります。・農振は除外済です。(農地法第5条の許可が必要です。)・平成21年に国土調査が終わり面積が確定しています。・広域農道と下島の駅に行きやすい場所にあります。
エビス不動産(有)
0120-174-203
ココスマを見てとお伝えください
地図・周辺環境
※物件位置が表示されていない場合があります。
また特に外部リンク先のGoogleマップでは、実際とは異なる位置が表示される場合があります。
物件の正確な位置は必ず取扱い会社へお問合せください。
エビス不動産(有)
0120-174-203
ココスマを見てとお伝えください
物件詳細
| 価格 | 350万円 |
|---|---|
| 坪単価 | 2.96万円 |
| 土地面積 | 391m²(公簿) / 118.27坪 |
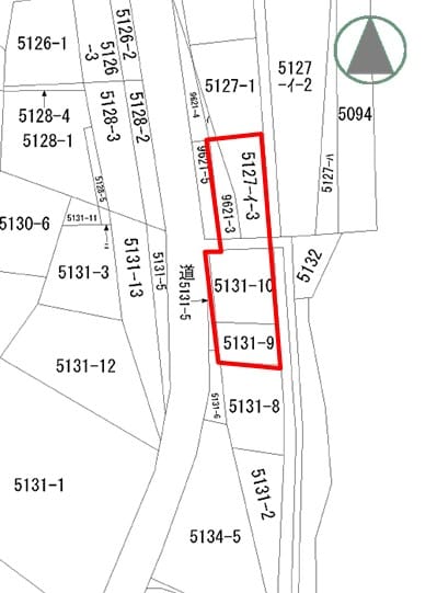
| 所在地 | 伊那市西春近小出三区3742-3 |
| 通学区 | 伊那市立西春近北小学校(1500m) 伊那市立春富中学校(2200m) |
| 交通 | 電車:飯田線下島駅 距離550m バス:伊那本線 バス停下島 距離550m 高速道路:中央道 小黒川スマートI.C. 車8分 |
| 備考 | ・上水道加入金73,700円と下水道加入金542,160円(農業集落排水)は、別途必要です。・遺跡包蔵地、土石流危険渓流、Y土石流(土砂災害防止法)の指定地です。・道路後退(セットバック)が約4㎡必要です。 |
| 都市計画 | 非線引区域 |
| 用途地域 | 無指定 |
| 地目 | 宅地 |
| 建蔽率 | 60% |
| 容積率 | 200% |
| 下水 | 公共下水道 |
| 最適用途 | 住宅用土地 |
| 土地権利 | 所有権 |
| 接道状況 | 方角:北 道路幅員:3.5m 公私区分:公道 接面:16.6m |
| 設備 | 建築条件なし・セットバック要 |
| 取引態様 | 一般媒介 |
| 手数料 | 手数料必要 |
| 引渡し/入居日 | 相談 |
| 管理番号 | 12052 |
| 物件番号 | 417308 |
| 最終更新日 | 2026-05-01 |























